Xem nhiều

Thời đại siêu bão với sức công phá khủng khiếp sẽ là hiện tượng “bình thường mới”

11/11/2025 14:54

Kinhte&Xahoi Theo dự báo của các nhà khoa học, trong những năm sắp tới, các cơn siêu bão với sức tàn phá cực lớn sẽ trở thành hiện thực phổ biến, thay vì là hiện tượng bất thường như trước đây.

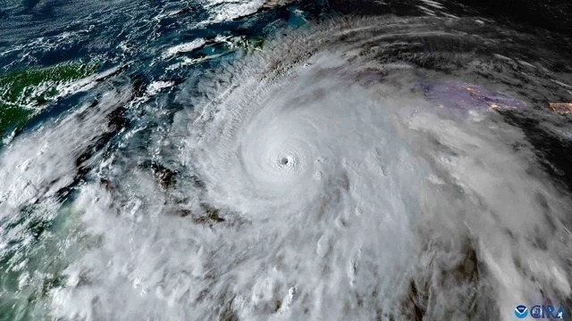
Tháng 10 vừa qua, Cuba và Jamaica đã phải chịu sự tàn phá khủng khiếp của siêu bão Melissa, khiến giới nghiên cứu đặt câu hỏi về thang đo Saffir-Simpson cấp 5. Nhiều chuyên gia nhận định rằng, các cơn bão hiện nay đã mạnh đến mức khó có thang đo nào đánh giá đầy đủ sức tàn phá của chúng.

Các dự báo cho thấy, bão ngày càng mạnh hơn, gia tăng cường độ nhanh hơn và di chuyển với tốc độ cao hơn. Nguyên nhân chính là biến đổi khí hậu do con người gây ra, khiến các hiện tượng thời tiết cực đoan xuất hiện thường xuyên hơn.

Siêu bão Melissa gây thiệt hại nặng nề hồi tháng 10 (Ảnh Thanh niên)

Trước đây, trên thang Saffir-Simpson cấp 5 là mức cảnh báo cao nhất, với sức gió tối đa khoảng 252 km/h. Tuy nhiên, Melissa và một số cơn bão gần đây đã tiến gần đến giới hạn này. Một số nhà khoa học đề xuất đưa thêm cấp 6, với sức gió có thể lên đến 308 km/h, vượt xa khả năng chịu đựng của các công trình hiện nay.

Theo Tiến sĩ Michael Mann từ Đại học Pennsylvania, các cơn bão siêu mạnh như Melissa sẽ trở thành “bình thường mới”, đòi hỏi phải đưa ra những phương án xem xét, phân loại mới. Trong khi đó, Tiến sĩ Katharine Hayhoe từ The Nature Conservancy nhấn mạnh rằng mỗi khi có bão sẽ kèm theo hiện tượng mưa lớn và lũ lụt, chính là nguyên nhân gây thiệt hại kinh tế nặng nề nhất.

Nghiên cứu của Đại học Imperial College London cho thấy Melissa là một trong những cơn bão tăng cường độ nhanh nhất trong lịch sử. Chính hiện tượng biến đổi khí hậu rất có thể dẫn đến sự xuất hiện của nhiều cơn bão khác như Melissa với cường độ mạnh hơn, sức gió nhanh hơn. Nhiệt độ nước biển cao hơn góp thêm khoảng 16 km/h, đẩy sức gió lên gần 298 km/h.

Các cơn bão siêu mạnh sẽ xuất hiện thường xuyên hơn nếu con người vẫn không có ý thức bảo vệ thiên nhiên (Ảnh Báo Thanh tra)

Mặc dù vẫn còn nhiều ý kiến trái chiều xung quanh việc bổ sung cấp bão số 6, nhưng thực tế cho thấy không chỉ Melissa mà các cơn bão tương lai sẽ mạnh hơn bất kỳ cơn bão nào trước đây, gây nguy hiểm trực tiếp cho con người, nhà cửa và cơ sở hạ tầng ven biển.

Các chuyên gia cảnh báo rằng, hành động giảm phát thải khí nhà kính ngay từ bây giờ vẫn có thể hạn chế mức độ tàn phá của các siêu bão trong tương lai. Nếu con người không thay đổi ý thức bảo vệ môi trường chung, sẽ gây ảnh hưởng tới khí hậu trên toàn cầu khiến các cơn bão sẽ thường xuyên xuất hiện hơn và khi “mẹ thiên nhiên nổi giận” con người cũng chỉ thật nhỏ bé mà thôi.

nguonluc

;
Bình luận
Họ tên :
Email :
Lời bình :
RadEditor - HTML WYSIWYG Editor. MS Word-like content editing experience thanks to a rich set of formatting tools, dropdowns, dialogs, system modules and built-in spell-check.
RadEditor's components - toolbar, content area, modes and modules
   
Toolbar's wrapper 
 
Content area wrapper
RadEditor's bottom area: Design, Html and Preview modes, Statistics module and resize handle.
It contains RadEditor's Modes/views (HTML, Design and Preview), Statistics and Resizer
Editor Mode buttonsStatistics moduleEditor resizer
 
 
RadEditor's Modules - special tools used to provide extra information such as Tag Inspector, Real Time HTML Viewer, Tag Properties and other.
   
Mobile
TieuDe
Nhập mã bảo mật :  
Gửi bình luận
     
Mới nhất | Cũ nhất
Không tìm thấy bản ghi nào

CÓ THỂ BẠN QUAN TÂM

Lương tối thiểu vùng sẽ tăng từ ngày 1/1/2026

Nghị định số 293/2025/NĐ-CP được Chính phủ ban hành, quy định về mức lương tối thiểu đối với người lao động làm việc theo hợp đồng lao động. Nghị định sẽ chính thức được áp dụng từ ngày 1/1/2026.

Giải Pickleball CEO 2025 tranh Cúp Hermod lần thứ I: Sân chơi thể thao gắn kết doanh nhân – lan tỏa tinh thần nhân ái

Ngày càng được yêu thích trên toàn thế giới, Pickleball – môn thể thao kết hợp giữa tennis, cầu lông và bóng bàn – đã nhanh chóng trở thành lựa chọn mới mẻ cho giới doanh nhân và người yêu vận động tại Việt Nam. Nắm bắt xu hướng đó, Giải Pickleball CEO 2025 tranh Cúp Hermod lần thứ I đã chính thức khởi tranh, đánh dấu một sự kiện thể thao – giao lưu – thiện nguyện ý nghĩa dành riêng cho cộng đồng doanh nhân, CEO, founder và các văn nghệ sĩ, KOL nổi tiếng trên toàn quốc.

https://nguonluc.com.vn/thoi-dai-sieu-bao-voi-suc-cong-pha-khung-khiep-se-la-hien-tuong-binh-thuong-moi-a21963.html

Scroll

Kênh thông tin giới trẻ - gioitrenews.com